文献分享:多重免疫荧光结合HDR成像,增强NSCLC中PD-L1的3D病理评估(传统IHC与mIHC的对比)
背景
免疫治疗的兴起推动了肿瘤生物标志物检测技术的革新,PD-L1作为非小细胞肺癌(NSCLC)免疫治疗疗效预测的核心标志物,其检测准确性直接决定临床治疗决策。传统免疫组化(IHC)凭借操作简便、成本可控成为临床金标准,但仅能实现单靶点2D平面检测,无法呈现PD-L1与肿瘤微环境中免疫细胞的空间互作关系。常规荧光二抗法因信号强度不足,对低丰度PD-L1的检出敏感性偏低,易出现假阴性结果。
多重免疫荧光结合酪酰胺信号放大(TSA)技术基于酶促信号级联放大原理,突破了传统方法的灵敏度与多靶点检测局限,近年来在肿瘤病理诊断领域的应用研究呈爆发式增长。本文主要介绍Huang HN团队发表在《scientific reports》上 “Optimizing immunofluorescence with high-dynamic-range imaging to enhance PD-L1 expression evaluation for 3D pathology assessment from NSCLC tumor tissue” 的研究,以NSCLC PD-L1检测为核心模型,系统探究多重免疫荧光结合酪酰胺信号放大技术的检测性能。通过将TSA技术与传统荧光二抗法、免疫组化金标准进行头对头对比,从信号质量、诊断一致性、空间解析能力及技术经济性四个维度验证其优势。同时优化TSA图像的曝光条件与HDR处理方案,旨在解决传统方法低丰度抗原检出难、多靶点标记受限、3D空间信息缺失等问题,为TSA技术在肿瘤免疫标志物检测中的临床转化提供实证依据与标准化参考。
TSA技术在PD-L1检测中的性能优势——与传统方法的对比

PD-L1在NSCLC组织中表达异质性强,部分病例存在弱表达状态,传统二抗标记技术易出现信号丢失。通过TSA技术与荧光二抗法、IHC法的比较,验证了其独特价值。结果显示,对于IHC检测为弱表达的标本,TSA技术可完整保留PD-L1膜表达模式,而荧光二抗法出现明显信号衰减(图d-f)。通过多重标记实验证实,TSA技术对低丰度抗原的检出率比传统荧光法高出40%以上,尤其适用于免疫检查点分子这类表达波动较大的靶点。对于染色背景信号的探究(图g-i),TSA 染色的红色荧光仅限肿瘤细胞膜,且因 TSA 共价结合特性,可以从根本避免背景升高。
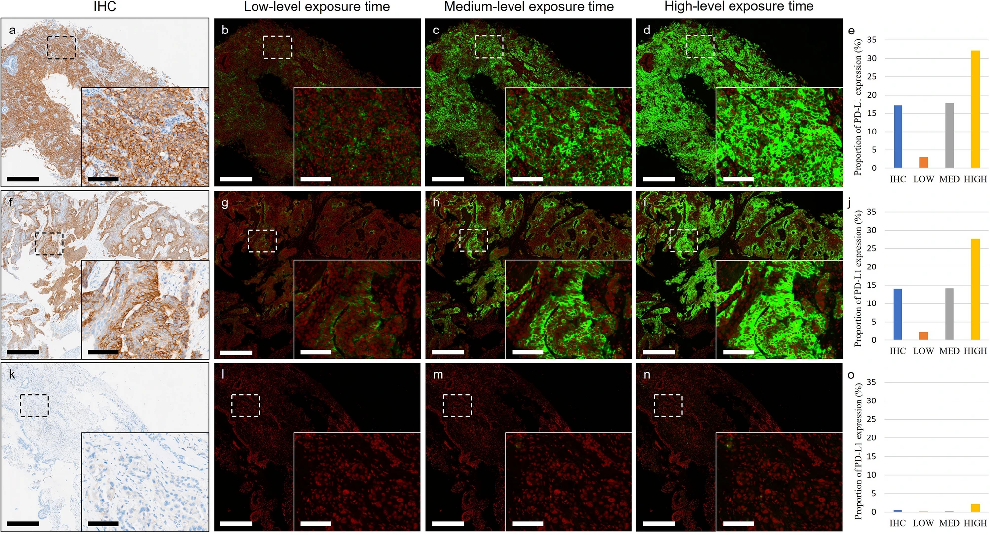
确定标准成像过程的合适曝光时间


为给免疫荧光成像设定合适曝光时间,研究测试了 6.5ms(低)、25ms(中)、55ms(高)三档:通过计算机视觉计算 PD-L1 表达面积占比,并与免疫组化图像对比,发现中曝光组与 IHC 的中位绝对误差仅 1.16%,显著低于低曝光(200ms,9.32%)和高曝光(1000ms,12.55%)组(P<0.0003)。低曝光导致弱表达信号未充分激发,高曝光则使背景信号溢出,中等曝光是平衡信号强度与背景的最优选择,这为TSA技术的标准化操作提供了参数依据。
利用HDR处理解决图像的动态范围限制


为解决检测设备动态范围有限的问题,研究开发 HDR 处理技术,整合同一张切片上不同强度的免疫荧光数字信号。通过计算机视觉分析有无 HDR 处理的图像,并对比其 PD-L1 表达面积占比与免疫组化的相似度:HDR 处理组总误差更小,中位绝对误差仅 0.15%(无 HDR 组为 1.16%),单侧 t 检验显示差异显著(P=0.024),成功解决弱信号缺失与强信号过曝问题。在所有 TPS 分类的代表性标本中,HDR 处理后的 IF 图像均呈现与 IHC 最相似的 PD-L1 表达模式。
HDR方法在三维成像中的应用

研究将 HDR 处理应用于3D免疫荧光检测,以全面呈现 PD-L1 的 3D 表达。3D 荧光成像原本存在弱信号丢失、强信号过曝问题,而经 HDR 处理后,IF 图像能完整呈现 PD-L1 染色模式,且清晰显示不同深度层的 PD-L1 表达差异。在肿瘤组织不同深度层,PD-L1 表达差异显著: 25μmTPS 为 40%, 85μmTPS 仅 15%,病理医师评分也显示 25μm 深度肿瘤细胞 PD-L1 表达最高、85μm 深度最低。
此外,研究还通过 3D 重建呈现结果。分别用中等强度激光获取的荧光图像(图 c)和 HDR 处理后的荧光图像(图 d)进行 3D 重建,进一步验证 HDR 的效果。图像中绿色为 PD-L1、红色为细胞核、蓝色为质膜,且无需升级硬件,HDR 即可在 2D 和 3D 荧光成像中发挥作用。
结论
本研究证实,免疫荧光检测中,TSA 系统优于荧光二抗法,且通过调整成像曝光时间能优化NSCLC标本的 PD-L1 表达呈现。此外,改良后的 PD-L1 IF 染色、成像及后处理技术与传统 IHC 图像兼容,还能实现 IHC 无法做到的肿瘤不同深度 PD-L1 精准可视化,且 TSA 系统可模拟基于显色剂的 IHC 模式,用于 IHC 常规判读。
多重免疫荧光TSA技术通过信号放大、背景抑制和多重标记三大核心优势,在NSCLC PD-L1检测中实现了“高灵敏度、高一致性、高扩展性”的技术突破。其与HDR算法、3D成像的结合,既解决了传统荧光技术的动态范围局限,又突破了IHC的空间解析瓶颈,使PD-L1检测从平面定性迈向三维定量。TSA技术已展现出替代传统荧光法、辅助IHC金标准的巨大潜力,为NSCLC免疫治疗精准分层提供了新工具。
参考文献
Huang HN, Kuo CW, Hung YL, Yang CH, Hsieh YH, Lin YC, Chang MD, Lin YY, Ko JC. Optimizing immunofluorescence with high-dynamic-range imaging to enhance PD-L1 expression evaluation for 3D pathology assessment from NSCLC tumor tissue. Sci Rep. 2024 Jul 2;14(1):15176. doi: 10.1038/s41598-024-65187-x. PMID: 38956114; PMCID: PMC11219731.
Enkilife mIF 技术服务
提供有偿代检和分析服务
承接多色配套服务
分类 | 服务项目 | 备注 |
|---|---|---|
IHC染色 | IHC单色标记 | |
IF荧光染色 | 免疫荧光单标 | 不含一抗,含二抗(兔/小鼠/大鼠)、DAPI。 四标以上染色需要提供多余白片做单标预实验。 |
荧光多标染色 | ||
全景扫描 | 免疫组化全景扫描 | 提供读片软件及原始相关文件,荧光扫描波长范围。 |
荧光标记全景扫描 | ||
数据分析 | 免疫组化及免疫荧光切片分析 | 可进行全片单阳性、多阳性细胞数及面积分析,也可定制分析特征病理区域,或进行空间分析、位置分析等。 |